ゼンリン

ZENRIN GISパッケージに登記所備付地図実装 地番閲覧エリアが大幅拡大!ZENRIN GISパッケージに登記所備付地図実装 地番閲覧エリアが大幅拡大!

キャンペーンは終了いたしました

初めてご利用の方

今すぐ使える

導入相談はこちら

ZENRIN GISパッケージに
登記所備付地図」が
実装されてパワーアップ!

追加料金なしで
地番閲覧エリアが拡大

  • ZENRIN GIS パッケージ不動産プレミアム、セールスサポートは実装対象外となります。

  • 公共座標系のみの搭載となります。任意座標系は未対応です。

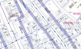
ブルーマップ

登記所備付地図

  • 虫眼鏡アイコンをクリックすると拡大画像が別窓で開きます。

登記所備付地図とは?

登記所備付地図は、法務局(登記所)が保管している土地の位置や地番、形状(筆界)を示した公的な地図です。土地ごとの境界線が細かく記載され、実際の土地の区画や広さが分かるようになっています。地籍調査が行われた地域を中心に作成されています。

\広がる地番/
エリア拡大イメージ

ビューア形式でブルーマップと登記所備付地図のカバー範囲が比較できます。

メリット

1地番を調べる手間の削減

登記所備付地図の実装により、地番閲覧エリアが格段に広がりました。これにより行政などに出向き、確認していた事前調査の手間が大幅に軽減されます。

2ゼンリン住宅地図と重ねて表示

筆界の表示が可能になり、データ上で土地の境界線が確認できるようになりました。住宅地図に重ねて見ることで、土地と建物の位置関係が一目で把握でき、物件調査がはかどります。

初めてご利用の方

今すぐ使える

導入相談はこちら

ZENRIN GISパッケージとは?

『ゼンリン住宅地図』をベースに、ブルーマップや用途地域図など、業務に必要な地図データを業種別にギュッとパッケージ。必要な地図データを重ねて表示できるので、今まで書籍や自治体のホームページなどを介していた業務負荷を大幅に軽減できます。

料金プラン例

ZENRIN GISパッケージ 不動産の場合

都道府県プラン

月額13,200(税抜価格 12,000円)

住宅地図

ブルーマップ

用途地域

多彩な機能

距離計測や地番検索、プリントアウトなどの便利な機能も満載。日常の細かな作業をスムーズに進められます。

地番検索

地番から地点を検索できます

計測機能

面積や距離の計測ができます

  • 地点検索
  • 周辺検索
  • 地図帳検索
  • 図形描画
  • 印刷
  • ルート検索
  • 地点登録

商品サイト

各パッケージの詳細はこちらよりご確認いただけます。
機能の特長・メリットがわかるお役立ち資料も無料でダウンロードできますのでぜひご覧ください。

  • ZENRIN GISパッケージ 不動産
  • ZENRIN GISパッケージ 建設 for 施工
  • ZENRIN GISパッケージ 建設 for 設計
  • ZENRIN GISパッケージ 税理士
  • ZENRIN GISパッケージ 不動産鑑定士

本キャンペーンは終了いたしました。
多くのお申し込みをいただき
ありがとうございました。

30日間無料お試しキャンペーン

登記所備付地図実装を記念して、
通常お試し5日間のところ
今だけ30日間使い放題!

地番や筆界情報の確認により、
資料作成や査定業務がスピーディかつ正確に行えます。
ぜひこの機会に
「ZENRIN GISパッケージ」をお試しください。

  • 試用期間終了後に自動で有償版に切り替わることはございません。安心してお試しください。

お申し込み期間

2025年1010(金)9:001225(木)17:59まで

お申し込み方法
お申し込みに必要な免許・資格

導入相談はこちら

  • 過去にお申し込みいただいたことがあり、ZENRIN StoreでID発行できない方はこちらからお問い合わせください。

よくあるご質問

お申し込みについて

試用版はご登録いただいた日から30日間ご利用いただけます。例えば12月23日に登録した場合、1月21日までご利用いただけます。

いいえ、試用期間終了後に本サービスが契約されることはありません。ご利用を継続される場合は、正式な契約手続きが必要です。

サービスの契約期間や料金は日割りではなく、一か月の料金となっています。途中開始や終了でも料金は変わりませんのでご注意ください。

ご注意事項

  • 試用版のお申し込みは、インターネットに接続できる、パソコン、スマートフォン、タブレットからのお申し込みとなります。予めご了承ください。
  • 通信費用はお客様負担となります。
  • お申し込みは、日本在住の方に限らせていただきます。
  • お申し込みに関して不正な行為があった場合、利用を停止させていただく場合がございます。
  • 本キャンペーンはやむを得ない事情による中止または内容が変更になる場合がございますので、予めご了承ください。